El huracán Melissa, ahora categoría 5, amenaza con inundaciones catastróficas en Jamaica y vientos intensos en Cuba.
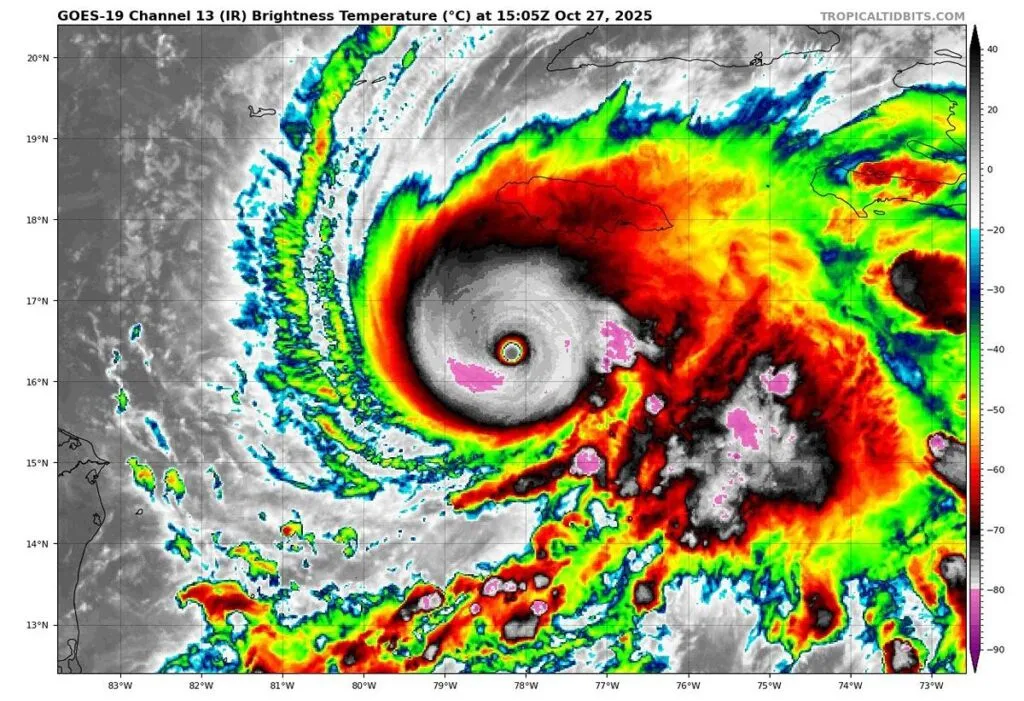
Estados Unidos.-El huracán “Melissa”, que hasta el martes era solo una tormenta tropical en el Caribe, ha evolucionado a la categoría 5, de acuerdo con el Centro Nacional de Huracanes (NHC) de Estados Unidos. Este fenómeno traerá vientos devastadores, marejadas ciclónicas e inundaciones catastróficas que se intensificarán en Jamaica durante el día y hasta la noche.
Se espera que “Melissa” impacte Jamaica como huracán este lunes, y que llegue a Cuba entre el martes y el miércoles. También se prevén lluvias en Haití y República Dominicana, donde un millón de personas ya están sin suministro de agua.
El Centro Nacional de Huracanes ha instado a los residentes de Jamaica a permanecer en refugios seguros, ya que hasta el martes existe un alto riesgo de inundaciones repentinas y deslizamientos de tierra severos.
Además, se advirtió que “los vientos de carácter destructivo, especialmente en las zonas montañosas, comenzarán esta noche y podrían ocasionar daños graves en infraestructuras, cortes de energía y de comunicaciones de larga duración, dejando comunidades aisladas”.
También se anticipan marejadas ciclónicas y olas peligrosas a lo largo de la costa sur hasta el martes.

En Haití y República Dominicana, las condiciones de tormenta tropical se prolongarán hasta el miércoles, con riesgos de inundaciones, deslizamientos de tierra y potencial aislamiento de comunidades.
En el este de Cuba, se espera que las lluvias sean intensas y los vientos muy fuertes durante la tarde y noche del martes.

